平成29年8月の釣果

8月31日釣果情報更新しました

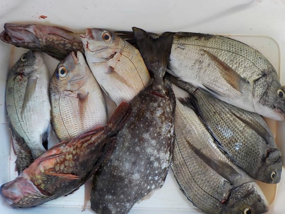
8月31日 磯釣りで柴尾さん チヌ、クロ、タイ

8月30日 磯釣りで吉光さん 足の裏のクロを3匹 タイ1匹

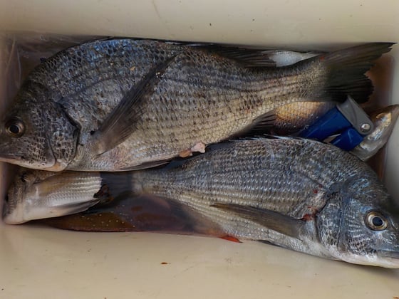
8月29日 磯釣りで田村さん チヌ40㎝オーバー2匹

8月29日 ボート釣りで山下さん アジ25㎝前後を30匹 アジゴ50匹

8月29日 船外機付きレンタルボートで山本さん ヘダイ1匹

8月27日釣果情報更新しました

8月27日 磯釣りで西田さん 清水さん

良型クロ32㎝を頭に20匹以上 チヌ46㎝を頭に3匹 キジハタ、ガラカブ

8月27日 磯釣りで辻さん クロ足の裏を2桁

8月27日 磯釣りで多田さん 良型チヌ46㎝を頭に6匹

8月27日 磯釣りで武辺さん 足の裏のクロ7匹 ボラ1匹

8月27日 磯からのルアー釣りで高橋さん ガラカブ14匹 キス、コチ、トラギス

8月27日 船外機対レンタルボートで畑親子 コロダイ58㎝ マダイ50㎝

8月27日 船外機付きレンタルボートでゆうちゃん よしちゃん 

タイ2匹 イラ4匹 キジハタ、ブダイ1匹 ガラカブ17匹

8月26日 船外機付きレンタルボートで水野さん マダイ62㎝

8月25日 船外機付きレンタルボートで マダイ14匹 ブダイ2匹 キジハタ2匹

8月23日釣果情報更新しました

8月23日 船外機付きレンタルボートで戸上さん ブリ1本

8月23日 ボート釣りで岩崎さん キス33匹 コチ8匹

8月21日釣果情報更新しました

8月21日 船外機付きレンタルボートで西村さん 

ヒラメ48㎝ タイ8匹 アコウ1匹

8月21日 磯釣りで轟さん チヌ40㎝オーバー2匹 タイ1匹

8月20日釣果情報更新しました

8月20日 船外機付きレンタルボートで橋本さん 良型マダイ75.5㎝

8月20日 船外機付きレンタルボートで鶴田さん マダイ64㎝

8月20日 磯釣りで坂本さん チヌ44㎝ クロ30㎝

8月20日 磯釣りで甲斐さん チヌ、メイタ4匹 タイ2匹 ガラカブ3匹 バリ1匹

8月20日 船外機付きレンタルボートで山岸さん達 

タイ7匹 コチ1匹 ガラカブ3匹 グチ2匹 アコウ1匹 サバ1匹

8月19日 船外機付きレンタルボートで寺岡さん 良型マダイ64.5㎝を頭に4匹

8月19日釣果情報更新しました

8月19日 ダゴチン釣りで吉本さん マダイ1匹 チヌ、メイタ4匹 ガラカブ7匹

8月19日 船外機付きレンタルボートで塚本さん 緒方さん キス80匹 グチ30匹

8月18日釣果情報更新しました

8月18日 ボート釣りで三の宮さん・中原さん・福山さん 

キス101匹 グチ11匹 ガラカブ、トラギス

8月18日 ボート釣りで磧本さん キス62匹 トラギス1匹 コチ1匹

8月17日釣果情報更新しました

8月17日 ダゴチン釣りで田中さん 良型マダイ65㎝

8月17日 船外機付きレンタルボートで小木曽さん マダコ5匹

8月17日 ダゴチン釣りで村井さん メイタ2匹 タイ1匹 アジ5匹

8月17日 ボート釣りで浦田さん キス25匹

8月16日釣果情報更新しました

8月16日 ボート釣りで中林さん 

マダイ53㎝ チヌ、メイタ13匹 アジ3匹 タコ3匹

8月16日 磯釣りで和久田さん チヌ、メイタ7匹 タイ2匹 アジ3匹

8月15日釣果情報更新しました

本日の磯釣りは、お客様がいらっしゃいませんでした。

本日のボート釣りは、お客様がいらっしゃいませんでした。

本日のダゴチヌ釣りは、お客様がいらっしゃいませんでした。

8月15日 船外機付きレンタルボートで稲岡さん 

タイ2匹 マダコ3匹 イラ、ガラカブ

8月14日釣果情報更新しました

8月14日 磯釣りで吉永さん チヌ43.5㎝

8月14日 磯釣りで城迫さん 良型クロ30㎝を頭に4匹

8月14日 磯釣りで前田さん メイタ、キビレ7匹 キス3匹

8月14日 ダゴチン釣りで遠藤さん チヌ43㎝を頭に5匹

8月14日 ダゴチン釣りで高浪さん チヌ、メイタ3匹 タイ2匹

8月14日 船外機付きレンタルボートで澤池さん 

タイ2匹 キジハタ3匹 イラ2匹 カワハギ1匹 ガラカブ25匹

8月14日 船外機付きレンタルボートで安田さん マダコ13匹

8月14日 船外機付きレンタルボートで甲本さん マダコ7匹

8月13日釣果情報更新しました

8月13日 船外機付きレンタルボートで木下さん 

キジハタ、カワハギ、グチ、ベラ、ヤズ、ガラカブ、イラ、太刀魚、

8月13日 船外機付きレンタルボートで平岡さん 

キス47匹 ガラカブ32匹 トラギス2匹

8月12日釣果情報更新しました

8月12日 磯釣りで辻さん クロ30㎝を頭に25匹 チヌ1匹

8月12日 夜釣で増田さん 良型チヌ45㎝を頭に3匹 メバル、タイ

8月12日 夜釣りで高木さん チヌ、メイタ、ガラカブ、アジ

8月12日 夜釣りで吉本さん チヌ、メイタ、タイ、キス

8月12日 夜釣りで武部さん チヌ、メイタ、ガラカブ、メバル、キス

8月12日 ボート釣りで柏尾さん ガラカブ、キス、ベラ約60匹

8月12日 船外機付きレンタルボートで沢池さん 

マダコ2匹 キス、ガラカブ、グチ、アジゴ

8月12日 船外機付きレンタルボートで矢野さん 

タイ4匹 ガラカブ3匹 マゴチ、ヒラメ、タコ

8月11日釣果情報更新しました

8月11日 船外機付きレンタルボートで辻本さん キス50匹 グチ、ガラカブ

8月11日 磯釣りで宮本さん メイタ6匹 クロ5匹 アジ1匹

8月11日 磯釣りで前田さん アジ6匹

8月11日 船外機付きレンタルボートで塚本ファミリー タイ8匹 ガラカブ3匹 キジハタ1匹

8月11日 船外機付きレンタルボートで塚本さん マダイ

8月11日 船外機付きレンタルボートで塚本さん 

マダイ40㎝オーバーを頭に7匹

8月8日釣果情報更新しました

8月7日 ダゴチン釣りで林さん メイタ4匹 クロ1匹

8月8日 ボート釣りで白石さん キス28匹 グチ1匹

本日の磯釣りは、お客様がいらっしゃいませんでした。

8月7日釣果情報更新しました

本日の磯釣りは、お客様がいらっしゃいませんでした。

本日のボート釣りは、お客様がいらっしゃいませんでした。

本日のダゴチヌ釣りは、お客様がいらっしゃいませんでした。

8月6日釣果情報更新しました

本日の磯釣りは、台風の影響がある為欠航しました

本日のボート釣りは、台風の影響がある欠航しました

本日のダゴチヌ釣りは、台風の影響がある欠航しました

8月5日釣果情報更新しました

8月5日 磯釣りで辻さん ガバチヌ51㎝

8月5日 船外機付きレンタルボートで園田さん 

キス62匹 グチ5;匹 トラギス3匹

8月3日釣果情報更新しました

8月3日 船外機付きレンタルボートで下池さん 巨大マダイ83㎝・7.5kg

8月3日 ダゴチン釣りで吉住さん チヌ、メイタ9匹

8月2日釣果情報更新しました

8月2日 磯釣りで上田さん 良型チヌ45㎝・42㎝

8月2日 磯釣りで上田さん 足の裏のクロを頭に15匹

8月2日 ボート釣で大津さん キス約50匹 ガラカブ、コチ、トラギス

8月1日釣果情報更新しました

8月1日 ダゴチン釣りで廣田さん チヌ、メイタ19匹

8月1日 ボート釣りで田上さん キス80匹

海の都物語

YoTube視聴

ヤマツリTV!くまもとを釣る!vol72

・場所 

熊本県上天草市松島

・出演者 田中 貴

・釣りもの チヌ

・動画紹介 YouTube

 

英太郎のかたらんね

テレビ熊本(TKU)

放送2022.3.9

・場所

 レインボー

・出演者

英太郎・のりを・田中貴

・釣りもの

 チヌ

七人の侍

テレビ熊本(TKU)

放送2021.8.20

・場所

 仏島

・出演者

英太郎・太田弘樹・田中洋平・中華首藤・安井まさじ もっこすファイヤーのりを&たく・田中貴・仲野香穂

・釣りもの

 なんでも!

ヤマツリTV!くまもとを釣る!vol61

・場所 上天草市松島

・出演 木村公冶・田中貴

・釣りもの チヌ

・動画紹介 YouTube

BS 釣りビジョン ITT

高水温でも釣果を出す

初回放送 2020.9.27

・場所

 牛深・有明の黒島

・出演者

 田中貴

・釣りもの

 グレ

ヤマツリTV!くまもとを釣る!vol48

・場所

 熊本県上天草市松島

・出演者

 百合野崇・田中貴

・釣りもの

 チヌ

・動画紹介

 YouTube

英太郎のかたらんね

テレビ熊本(TKU)

放送2019.5.28

・場所

 裸島

・出演者

 太田弘樹・中原理菜

・釣りもの

 キス

九州の大ギモン~ガチ代行調査して来ました

熊本県民テレビ(KKT)放送2018.9.29

・場所

 黒島

・出演者

 ダイアン

・釣りもの

 ?-.-?

 

THE FISHING!

初放送2018.3、3

・場所

 熊本県上天草市松島

・出演者

 鶴原 修・木村 公冶

・釣りもの

 チヌ

YouTube

ヤマツリTV!くまもとを釣る!vol15

・場所

 熊本県上天草市松島

・出演者

 木村 公冶・田中 貴

・釣りもの

 チヌ

・動画紹介

 YouTube

湾内ほんわかチヌ釣り

・場所

 熊本県上天草市松島

・出演者

 平和 卓也

・釣りもの

 チヌ

・動画紹介

PEACE THE MOVIE

BS釣りビジョン      初放送2017.5.15

春の熊本県上天草市釣行

  • 場所

    熊本県 上天草市 松島

  • 出演者

    鵜澤政則

  • 釣りもの

  • 黒鯛

  • ・紹介動画紹介動画